Τετάρτη, 26 Νοεμβρίου 2025
Ροή ενημέρωσης:

Με την από 19-01-2016 αίτηση έχει ζητηθεί από εταιρεία χορήγηση δικαιωμάτων διέλευσης ηλεκτρονικών υπηρεσιών σε τμήμα του επαρχιακού οδικού δικτύου της Περιφερειακής Ενότητας Αχαΐας της ΠΔΕ. Το δίκτυο αυτό θα διέλθει σε τμήματα της 22ης, 20ης, 18ης,17ης,19ης,8ης,9ης,10ης,11ης,14ης και 16ης Επαρχιακής Οδού. Τα τμήματα φαίνονται στο αναρτημένο σχέδιο (σε μορφή PDF)

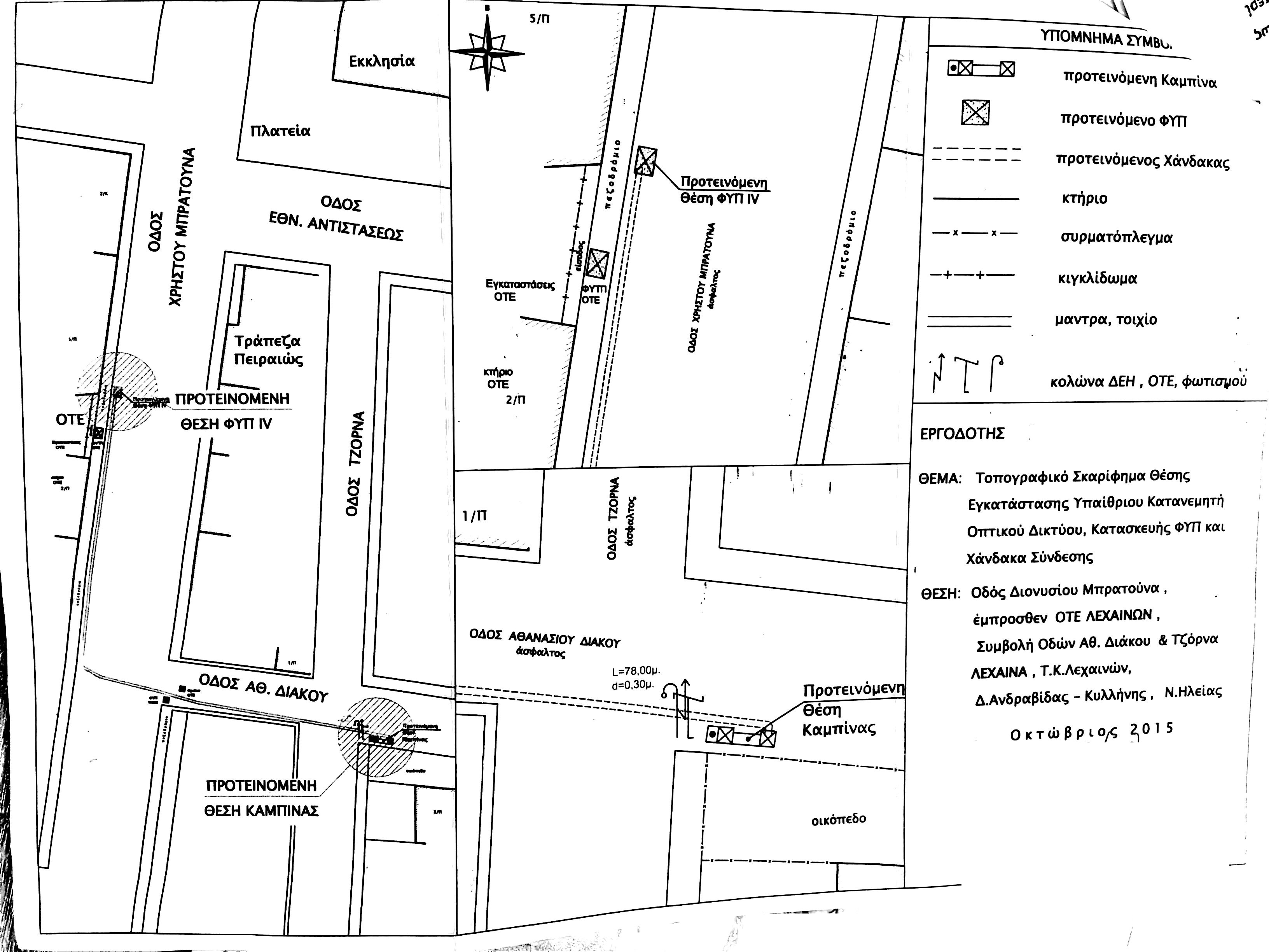
Σε συνέχεια αιτήσεως παροχου για την Χορήγηση Δικαιωμάτων Διέλευσης Οπτικών Ινών στο Δήμο Ανδραβίδας-Κυλλήνης, η οποια μας διαβιβάστηκε με το με αριθ 573/18-1-2016 έγγραφο Δήμου Ανδραβίδας-Κυλλήνης, γινεται η αναρτηση της μαζί με το συννημενο τοπογραφικό σχέδιο στον ιστοτοπο της ΠΔΕ Ηλείας όπως προβλέπεται σύμφωνα με το άρθρο 8 της υπ αριθ 725/23/4-1-2012 ΚΥΑ (ΦΕΚ 5/Β/5-1-2012). 

 

 

  • Αιτήσεις & Λίστες αναμονής ιατρικών ειδικοτήτων

    ΑΝΑΚΟΙΝΩΣΗ- ΥΠΟΒΟΛΗ ΑΙΤΗΣΕΩΝ ΙΟΥΛΙΟΣ 2025 (πατήστε εδώ)

     

    Οι αιτήσεις για ιατρικές ειδικότητες στην ΠΔΕ γίνονται πλέον μόνο ηλεκτρονικά μέσω της παρακάτω ηλεκτρονικής εφαρμογής (με χρήση κωδικών taxisnet.)

    Από 01-09-2024 οι τοποθετήσεις των ιατρών για άσκηση σε ιατρική ειδικότητα θα γίνονται με Απόφαση του Προέδρου/Διοικητή του Νοσηλευτικού Ιδρύματος, η οποία θα αναρτάται στο ΔΙΑΥΓΕΙΑ, σύμφωνα με τα οριζόμενα στο Άρθρο 1 της υπ' αριθμ. Γ4δ//Γ.Π.οικ.37686/11-07-2024 Υπουργικής Απόφασης (ΦΕΚ 4576/τ.Β'/06-08-2024).

    Για έναρξη ειδίκευσης τα απαιτούμενα δικαιολογητικά είναι τα οριζόμενα στο Άρθρο 2 της υπ' αριθμ. Γ4δ//Γ.Π.οικ.37686/11-07-2024 Υπουργικής Απόφασης (ΦΕΚ 4576/τ.Β'/06-08-2024) που έχει τεθεί σε ισχύ από την 01/09/2024. Τα απαιτούμενα δικαιολογητικά θα υποβάλλονται ως συνημμένα (σε μορφή pdf) στην αίτηση μέσα από την ηλεκτρονική εφαρμογή. 

    Για συνέχιση ειδίκευσης (δηλαδή όταν ο ιατρός για την συγκεκριμένη ειδικότητα που αιτείται έχει ήδη ασκηθεί σε οποιοδήποτε νοσοκομείο της χώρας για κάποιο χρονικό διάστημα) τα απαιτούμενα δικαιολογητικά είναι τα οριζόμενα στο Άρθρο 3 της υπ' αριθμ. Γ4δ//Γ.Π.οικ.37686/11-07-2024 Υπουργικής Απόφασης (ΦΕΚ 4576/τ.Β'/06-08-2024) που έχει τεθεί σε ισχύ από την 01/09/2024. Τα απαιτούμενα δικαιολογητικά θα υποβάλλονται ως συνημμένα (σε μορφή pdf) στην αίτηση μέσα από την ηλεκτρονική εφαρμογή.

     

    Για υποβολή αίτησης ιατρικής ειδικότητας πατήστε ΕΔΩ: eisodos

     

    ΕΠΙΣΗΜΑΝΣΗ: Σε περίπτωση κενής θέσης θα διαβιβάζονται στα Νοσηλευτικά Ιδρύματα  προς τοποθέτηση οι αιτήσεις των ιατρών που διαθέτουν πλήρη φάκελο δικαιολογητικών (άδεια άσκησης ιατρικού επαγγέλματος, πτυχίο/πιστοποιητικό πτυχίου ιατρικής, πιστοποιητικό ολοκλήρωσης προκαταρκτικού σταδίου ειδικότητας κ.λ.π.). Σε αντίθετη περίπτωση θα προτείνεται για τοποθέτηση ο επόμενος ιατρός από τη λίστα αναμονής που διαθέτει πλήρη φάκελο δικαιολογητικών (άρθρο 1 της Υ.Α. -ΦΕΚ 4576/τ.Β’/06-08-2024 και υπ’ αριθμ. Γ4δ/Γ.Π.οικ.59808/15-11-2024 εγκύκλιος του Υπουργείου Υγείας).  Οι ιατροί οφείλουν με αποκλειστικά δική τους ευθύνη να υποβάλλουν στην Υπηρεσία μας τυχόν εκκρεμή δικαιολογητικά (επιλέγοντας την 03 -Αίτηση υποβολής συμπληρωματικών δικαιολογητικών της ηλεκτρονικής εφαρμογής της ΠΔΕ) προκειμένου να είναι πλήρης ο φάκελός τους.

     


    ΛΙΣΤΕΣ ΑΝΑΜΟΝΗΣ

    Συγκεντρωτικός Πίνακας ανά ειδικότητα στα Ν.Ι. της Π.Δ.Ε.

    Γ.Π.Ν. Πατρών "Παναγία Η Βοήθεια" (Ρίο)

    Γ.Ν. Πατρών "Ο 'Αγιος Ανδρέας"

    Γ.Ν. Παίδων Πατρών (Καραμανδάνειο)

    Γ.Ν. Ανατολικής Αχαΐας

    Γ.Ν. Αιτωλοακαρνανίας

    Γ.Ν. Ηλείας


     

    ΕΞΑΙΡΕΣΕΙΣ (αποστολή αιτήσεων αποκλειστικά μέσω e-mail)

    Μόνο στις ακόλουθες περιπτώσεις:

    1) Για όσους δεν διαθέτουν ΑΦΜ ή/και ΑΜΚΑ και κατά συνέπεια κωδικούς taxisnet. Τα απαιτούμενα δικαιολογητικά είναι κατά περίπτωση:

    • Για έναρξη ειδίκευσης τα απαιτούμενα δικαιολογητικά είναι τα οριζόμενα στο Άρθρο 2 της υπ' αριθμ. Γ4δ//Γ.Π.οικ.37686/11-07-2024 Υπουργικής Απόφασης (ΦΕΚ 4576/τ.Β'/06-08-2024) που έχει τεθεί σε ισχύ από την 01/09/2024. Προσοχή: Η Υπεύθυνη Δήλωση της παρ.ε του Άρθρου 2 της ανωτέρω Υπουργικής Απόφασης είναι απαραίτητo δικαιολογητικό, μπορεί να εκδοθεί μέσα από το www.gov.gr και θα υποβάλλεται σε μορφή pdf μαζί με όλα τα υπόλοιπα δικαιολογητικά της αίτησης.
    • Για συνέχιση ειδίκευσης (δηλαδή όταν ο ιατρός για την συγκεκριμένη ειδικότητα που αιτείται έχει ήδη ασκηθεί σε οποιοδήποτε νοσοκομείο της χώρας για κάποιο χρονικό διάστημα) τα απαιτούμενα δικαιολογητικά είναι τα οριζόμενα στο Άρθρο 3 της υπ' αριθμ. Γ4δ//Γ.Π.οικ.37686/11-07-2024 Υπουργικής Απόφασης (ΦΕΚ 4576/τ.Β'/06-08-2024) που έχει τεθεί σε ισχύ από την 01/09/2024.


    2) Για αιτήσεις υπεράριθμων ιατρών (για λόγους υγείας και για αθλητές πτυχιούχους ιατρικής σχολής) θα υποβάλλονται μαζί με την αίτηση και τα δικαιολογητικά που αναφέρονται στο Άρθρο 5  της υπ' αριθμ. Γ4δ//Γ.Π.οικ.37686/11-07-2024 Υπουργικής Απόφασης (ΦΕΚ 4576/τ.Β'/06-08-2024) εκτός από τα απαιτούμενα δικαιολογητικά για έναρξη/συνέχιση ειδίκευσης όπως αναφέρονται στα άρθρα 2 και 3 της ίδιας Υ.Α.


    Για την υποβολή της αίτησης αποκλειστικά για τις δύο (2)  παραπάνω περιπτώσεις εξαιρέσεων που υποβάλλονται μόνο μέσω e-mail και όχι μέσω της ηλεκτρονικής εφαρμογής: Συμπληρώνετε τις παρακάτω φόρμες (αίτηση και υπεύθυνη δήλωση), τις υπογράφετε, τις σκανάρετε σε μορφή pdf και τις αποστέλλετε μαζί με τα απαιτούμενα δικαιολογητικά (όπως αναφέρονται παραπάνω) στο email: Αυτή η διεύθυνση ηλεκτρονικού ταχυδρομείου προστατεύεται από κακόβουλη χρήση. Χρειάζεται να ενεργοποιήσετε την Javascript για να τη δείτε. της Δ/νσης Δημόσιας Υγείας ΠΔΕ.

     

    Αίτηση για ειδικότητα

    Υπεύθυνη δήλωση ειδικότητας

     


Ο παρών ιστότοπος χρησιμοποιεί cookies για να βελτιώσει την πλοήγησή σας σε αυτόν. Χρησιμοποιώντας τον ιστότοπο αποδέχεστε την αποθήκευση των cookies στη συσκευή σας. Λεπτομέρειες για την Πολιτική Ιδιωτικότητας στο σύνδεσμο privacy policy.

Αποδέχομαι τα cookies από αυτόν τον ιστότοπο.